
Liebe Mitbürgerinnen und Mitbürger von Bermatingen und Ahausen
bei der Bürgermeisterwahl am 12. Oktober 2025 entscheiden Sie darüber, wer in den nächsten acht Jahren die Geschicke unserer Gemeinde leiten wird. Aus Überzeugung bin ich gerne weiterhin bereit mich mit Erfahrung, Fachwissen und Engagement dieser Verantwortung zu stellen – zum Wohl der Allgemeinheit und für unsere schöne Gemeinde.
In den vergangenen acht Jahren haben wir über 17 Mio. € in unterschiedliche Projekte und Maßnahmen investiert und so unsere Infrastruktur weiter ausgebaut und verbessert. Besonders denke ich an die Umfeldgestaltung rund um Bahnhof und Grundschule im Rahmen des Landessanierungsprogramms, die neuen Sportstätten für unsere Vereine, die Erschließung des Wohngebiets „Hinterm Dorf III“, den Glasfaserausbau und die Erweiterung des Kindergartens in Ahausen. Dieses hohe Investitionsvolumen wurde zu über 80 % kostengünstig aus Eigenmitteln, Zuschüssen und Beiträgen finanziert. Die Steuer- und Gebührensätze für Bürgerinnen und Bürger sowie Betriebe blieben günstig. Die Kreditaufnahmen von insgesamt 3,3 Mio. € sind bereits getilgt; die Verschuldung, dank sparsamer Mittelbewirtschaftung und Sondertilgungen in guten Haushaltsjahren, lag am 01.01.2025 bei rund 293.087 € – unter dem bereits niedrigen Niveau von 2018.
Sehr gerne möchte ich auch künftig Ihr Bürgermeister bleiben und die erfolgreiche Arbeit der Vergangenheit fortsetzen. Mit Engagement, Weitblick und Tatkraft – für eine gedeihliche Entwicklung unserer Gemeinde zum Wohle aller.
Ich setze mir dabei wichtige Ziele: Wir wollen GEMEINSAM die vielfältigen Aufgaben und Herausforderungen sachgerecht, bedarfsorientiert und nachhaltig angehen. Ihre Teilnahme an der Wahl und Ihre Stimme sind entscheidend, um diese Arbeit auf eine breite Basis zu stellen.
Deshalb bitte ich Sie herzlich um Ihre Unterstützung, Ihr Vertrauen und Ihre Stimme bei der Bürgermeisterwahl am 12. Oktober 2025.
Ihr

Martin Rupp
Persönliches

Bermatingen ist unser Lebensmittelpunkt. Daher möchte ich mich auch weiterhin mit ganzer Kraft für unsere schöne Gemeinde einsetzen.
1971 geboren und aufgewachsen im Landkreis Heilbronn. Laufbahn im gehobenen Verwaltungsdienst abgeschlossen als Diplom-Verwaltungswirt (FH) an der Hochschule für Öffentliche Verwaltung, anschließend mehrere Jahre Kämmerer der Gemeinde Kirchheim am Neckar.
2001 Wahl zum Bürgermeister in Bermatingen, 2009 und 2017 wiedergewählt.
In den vergangenen 24 Jahren ist Bermatingen für meine Familie und mich zur Heimat geworden – ein Ort, an dem wir uns rundum wohlfühlen. Meine Frau Cordula steht mir dabei stets verlässlich zur Seite und hält mir den Rücken frei – dafür bin ich ihr sehr dankbar. Unsere beiden Söhne, Lukas und Benjamin, geben mir genauso wie meine Familie insgesamt den Halt und die Kraft, die ich für meine verantwortungsvolle Aufgabe als Bürgermeister brauche.
In meiner Freizeit finde ich Ausgleich in der Natur: Ob beim Skifahren, Radfahren an den See oder Wandern in den Bergen – diese Momente helfen mir, neue Energie zu tanken und mit frischem Blick an die Herausforderungen des Alltags heranzugehen.
Mit den Entscheidungsträgern auf allen politischen und behördlichen Ebenen konnte ich in den vergangenen zwei Jahrzehnten ein gut funktionierendes Netzwerk aufbauen und mich ehrenamtlich engagieren:
Mitglied des Kreistages für die Freien Wähler Bodenseekreis seit 2014
Mitglied in der Regionalverbandsversammlung Bodensee-Oberschwaben
Aufsichtsrat der Sparkasse Salem-Heiligenberg
Mitglied im Landesvorstand des Gemeindetags Baden-Württemberg in Stuttgart
Gemeinsam haben wir in den letzten 24 Jahren viel erreicht für Bermatingen und Ahausen. Gemeinsam wollen wir die Gemeinde auch erfolgreich weiterentwickeln.
Rückblick
Im guten Miteinander zwischen Gemeinde- und Ortschaftsrat und vielen ehrenamtlich engagierten Bürgerinnen und Bürgern konnten wir auch in den vergangenen Jahren viele Projekte GEMEINSAM realisieren:
Ausbau, Erneuerung und Sicherung der Infrastruktur
- Umsetzung kommunaler Maßnahmen im Sanierungsgebiet „Ortskern“: Umfeldgestaltung Grundschule und Bahnhof, Park & Ride am Bahnhof mit E-Ladesäule
- Umsetzung Sportstättenkonzept Teil 3: Verlegung Hauptplatz und neues Vereinsheim an der Sporthalle, Erneuerung der Leichtathletikanlagen
- Neubau eines Radwegs entlang der K 7760 Ahausen-Buggensegel
- Beschaffung eines Feuerwehrfahrzeugs HLF 10 für die Abt. Bermatingen
- Grunderwerb, Architektenwettbewerb und Planung für ein neues, zentrales Feuerwehrgerätehaus, Baubeginn 2025 erfolgt
- Glasfaserausbau durch den Zweckverband Breitband Bodensee (ZVBB) mit Beteiligung der Gemeinde
- Anschaffung einer Orgel für die Aussegnungshalle auf dem Friedhof
- Instandhaltung des Mesnerhauses mit Erneuerung der Fenster, einer Fachwerk- und Fassadensanierung anlässlich 20 Jahre MiM
- Ausbau und Fertigstellung der Oberen Mühlbachstraße, Feinbelag „Hinterm Dorf III“
- Sicherung der Zukunftsfähigkeit unserer Wasserversorgung durch Vergabe der technischen Betriebsführung an die Stadtwerke am See
Kinder- und familienfreundliche Entwicklung, Soziales
- Digitalisierung an der Grundschule u.a. mittels neuen Medienwagen mit Beamer und Laptops, Anschaffung digitaler Tafeln in allen Klassen sowie iPads
- Erhöhung der Schulsozialarbeit an der Grundschule auf 60%
- Planung zur Erweiterung der Grundschule für die Ganztagsbetreuung
- Schaffung von Wohnraum an der „Oberen Mühle“, Ahausen durch Ermöglichung einer dorfbildgerechten Bebauung/Nachverdichtung (36 WE) sowie durch Erschließung des Neubaugebietes „Hinterm Dorf III“, Ahausen mit 28 Bauplätzen
- Erneuerung des Spielplatzes im Muschelweg
- Aufnahme und Integration von Geflüchteten
- Erweiterung des Kindergartens in Ahausen mit U3-Bereich
- Neues Sport- und Freizeitgelände in Ahausen
Wirtschaftsförderung
- Aktive Unterstützung und Schaffung von Erweiterungsmöglichkeiten mittels Bebauungsplänen zur Expansion ortsansässiger Betriebe
- Kreisstraßenverlegung Ahausen-Buggensegel zur Erweiterung von Gewerbeflächen
- Breitbandausbau im Gewerbegebiet Hofäcker II mit NetCom in Eigenregie (vor ZVBB), gigabitfähiges Glasfasernetz für Gewerbebetriebe
- Unterstützung der Gastronomie: Verkauf des gemeindlichen Grundstücks Jahnstraße 12 für ein Gästehaus und Einwerbung eines Zuschusses hierfür aus dem Entwicklungsprogramm Ländlicher Raum (ELR)
- Unterstützung von Handwerk, Handel und Dienstleistern bei der Gewerbemeile
ÖPNV, Umweltschutz und Landschaft
- Beteiligung an den Planungen zum Ausbau und Elektrifizierung der Bodensee-Gürtelbahn sowie Verbesserung der Busverbindungen im Rahmen des kreisweiten ÖPNV-Ausbaus
- Kontinuierliche Optimierungen an der Verbandskläranlage „Obere Seefelder Aach“, u.a. Einbau energieeffizienter Belüftergebläse und Installation von PV-Anlagen auf allen Dächern mit Nutzung als Eigenverbrauch
- Umbau des Regenüberlaufs RÜ II am Kellhof zur Leistungsverbesserung
- Anlegen von Blühstreifen und -flächen in der Gemeinde und damit Auszeichnung des Landes Baden-Württemberg mit der Goldenen Wildbiene 2022
- Übernahme der PV-Anlage (ehem. Solares Bürgerdach) auf der Grundschule
- Erneuerung der Flutlichtanlage an der Sportstätte: Umstellung auf energieeffiziente und insektenfreundliche LED – Beleuchtung
- Gestaltungskonzept für den Bereich Am Leopoldsberg für ein verträgliches Landschaftsbild nach dem Rückzug des Hauses Baden aus dem Weinbau
Freizeit und Kultur, Naherholung und Tourismus
- Einführung der „Tage alter Musik“ in Kooperation mit der Musikschule Markdorf – ein Alleinstellungsmerkmal in der Region
- Escape-Tour für Familien mit Kindern rund um Bermatingen
- Umsetzung eines Skulpturenwegs auf dem alten Friedhof
- Fortführung des „Bermatinger Kino-Open-Airs“ mit dem Kulturkessel sowie der Sommerkonzerte in Weppach mit der Musikschule Markdorf
- Feier des 50. Weinfestes, Jubiläumsfeier 50 Jahre Gemeinde Bermatingen mit Ortsteil Ahausen, Historische Dorfbelebung Seehaufen zu 500 Jahre Bauernkriege
- Dauerhafte Unterstützung der Vereine durch Zuschüsse, Bauhofleistungen und die kostenlose Überlassung von Räumen für den Übungsbetrieb
Solide Gemeindefinanzen
Wir haben in der Gemeinde in den vergangenen acht Jahren über 17 Mio. € in unterschiedliche Projekte und Maßnahmen investiert – und damit unsere Infrastruktur weiter ausgebaut und verbessert. Dieses Investitionsvolumen wurde zu über
80% kostengünstig aus Eigenmitteln, öffentlichen Zuschüssen und Beiträgen finanziert. Dabei konnten wir unsere
Steuer- und Gebührensätze für Bürgerschaft und Betriebe günstig halten. Die Kreditaufnahmen von insgesamt 3,3 Mio. € sind bereits wieder getilgt; bis heute konnte die Verschuldung – auch dank Sondertilgungen in guten Haushaltsjahren – auf rund 293.087 € (01.01.2025) sogar wieder unter den schon niedrigen Stand von 2018 zurückgeführt werden.
Ausblick
Meine Ziele für die kommenden Jahre
- Umsetzung des sozialen Wohnprojekts „In der Breite“ unter Einbeziehung der „Lebensräume für Jung und Alt“ mit der Stiftung Liebenau
- Fertigstellung und Einweihung des neuen zentralen Feuerwehrgerätehauses
- Erweiterung der Grundschule und Sicherstellung der Ganztagsbetreuung
- Erhalt der bedarfsgerechten und qualitativ hochwertigen Betreuung in den Kindergärten
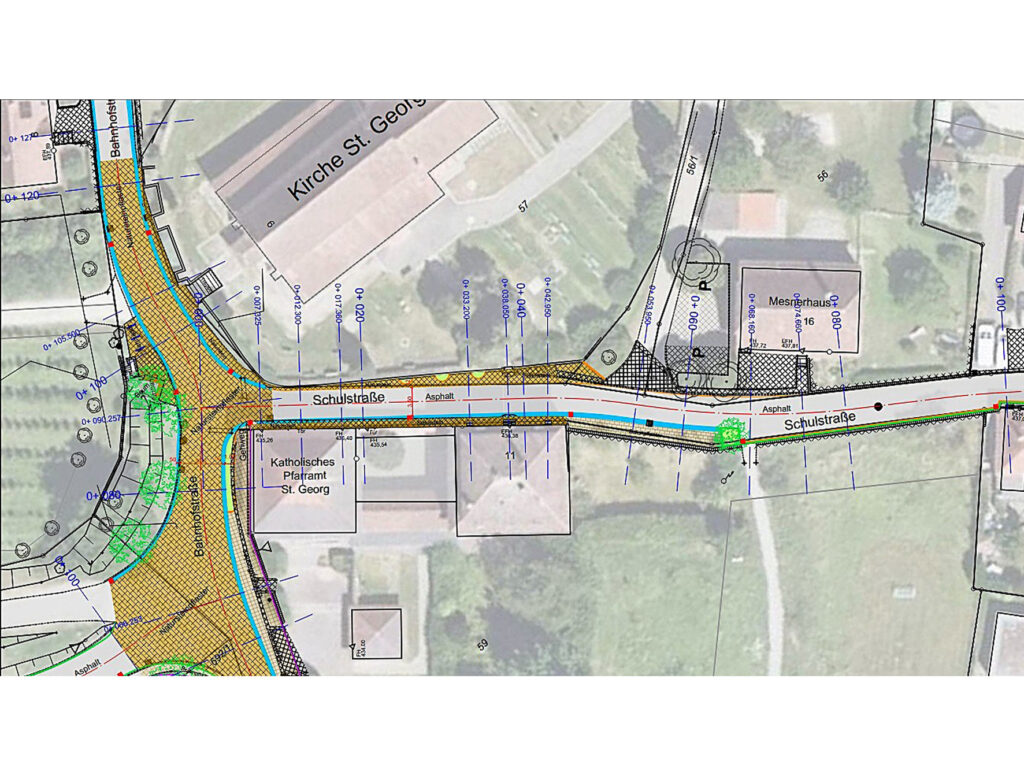
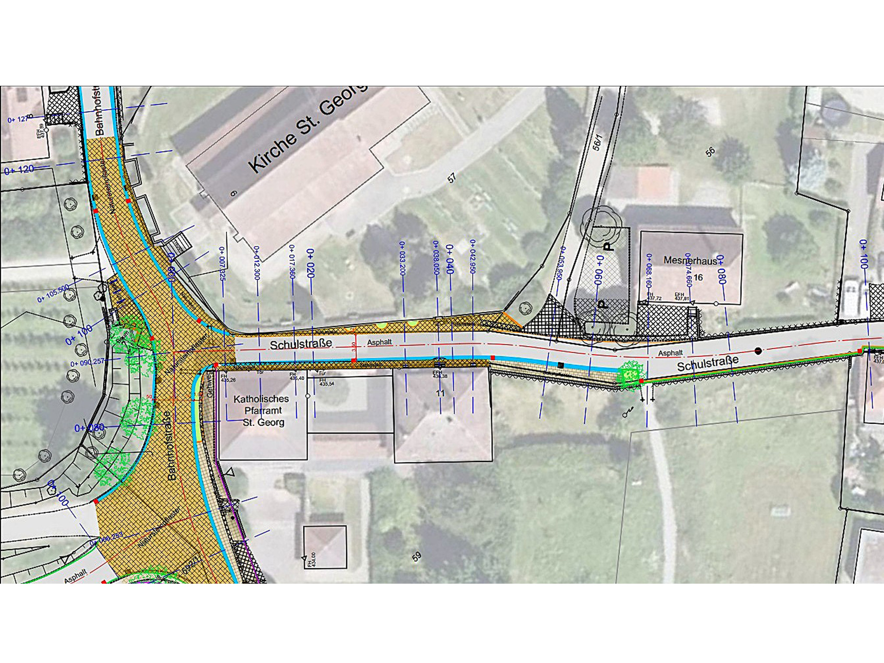
- Umsetzung der Planungen für den Bereich Bahnhof / Schulstraße (mit Neugestaltung und Aufwertung der Bereiche um Kirche und Pfarrheim)
- Erweiterung des Sanierungsgebiets in Richtung Rathaus und Adler nach Abschluss des ersten Abschnitts im Landessanierungsprogramm und damit verbunden
- Sanierung und Aufwertung der Ortsdurchfahrt Bermatingen zusammen mit dem Land BW sowie
- Planungen für eine moderne und zukunftsfähige Gemeindeverwaltung
- Veräußerung von Bahnhof und Kellhof an Investoren mit überzeugendem Nutzungskonzept
- Umsetzung von Maßnahmen im Bereich Klimaschutz- und Klimaanpassung gemäß des Starkregenrisko- managements, der kommunalen Wärmeplanung und der „Zukunftskommune“ der Energieagentur Bodensee-Oberschwaben sowie Installation von PV-Anlagen auf kommunalen Gebäuden
- Sanierung und Aufwertung der Heiligenbergstraße analog der Gehrenbergstraße
- Elektrifizierung der Bodenseegürtelbahn mit Umsetzung des Vorzugskonzepts
- Schaffung von Wohnraum durch Aktivierung innerörtlicher Potenziale sowie bedarfsgerechte und behutsame Ausweisung von neuen Wohnbauflächen
- Fortschreibung des Gemeindeentwicklungsplans auf das Jahr 2040 mit Bürgerbeteiligungsprozess
- Ausbau der Glasfaserversorgung in Zusammenarbeit mit unserem Zweckverband Breitband Bodensee (ZVBB) und privaten Telekommunikationsunternehmen
- Kontinuierliche Förderung der Wirtschaft sowie Unterstützung der Vereine und des ehrenamtlichen Engagements insbesondere auch durch Überlassung von geeigneten Räumen und Lagermöglichkeiten
- Erhalt der Infrastruktur: energetische Sanierung öffentlicher Gebäude und Straßen, Sicherung der eigenen Wasserversorgung für zukünftige Generationen
- Weitere vertrauensvolle Zusammenarbeit mit Gemeinde- und Ortschaftsrat, allen Vereinen und Organisationen, dem Gewerbe sowie der Bürgerschaft
Dies alles wie bisher im Rahmen einer soliden und nachhaltigen Haushalts- und Finanzpolitik.
Termine
Der offene Dialog mit Ihnen ist mir sehr wichtig.
Zu meinen Wahlveranstaltungen am

lade ich Sie herzlich ein. Ich freue mich schon auf Ihre Fragen und Ihre Anregungen!

Kontakt
Für Fragen und Anregungen stehe ich Ihnen gerne über Email und Telefon zur Verfügung
Martin Rupp
Am Leopoldsweg 13
88697 Bermatingen
Telefon:
0160-7993921
Email:
martin-rupp@freenet.de































































